Gospočak, Remete, 1.200,00 m2, 350.000,00 EUR

Cijena: 350.000,00 €
ID oglasa: 119257

Osnovni podaci

Lokacija Zagreb, Maksimir, Remete
Tip zemljišta Građevinsko
Namjena stambeno
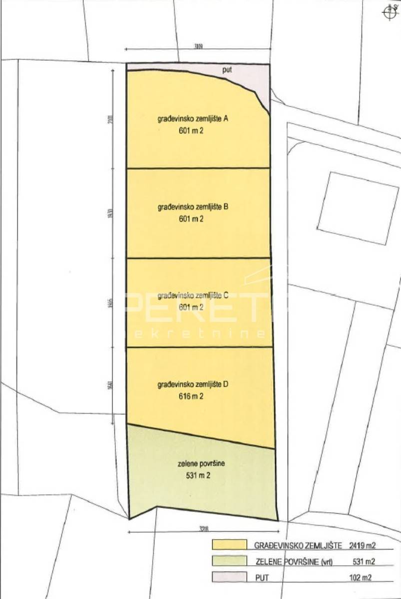
Površina 1.200 m²

Opis

Gospočak, Remete, 1.200,00 m2, 350.000,00 EUR
PRODAJA ZEMLJIŠTA, REMETE, GOSPOČAK, 1200M2.
Prodaje se odlično, pravilno zemljište blagog nagiba za izgradnju ukupno jednog ili 2 objekta po max 400 brp-a. Idealno za gradnju urbanih vila ili obiteljskih kuća.
Odlična, mirna pozicija na kraju slijepe ulice. Južna orjentacija i lijep pogled prema gradu.
Sve komunalije odmah kraj parcele.
Mogućnost kupnje zasebnih parcela od 600m2.
USLUGA KREDITNOG POSREDOVANJA: Opereta ekspert pruža besplatnu uslugu kreditnog posredovanja, uspoređujući ponude više banaka na jednom mjestu. Naš tim objašnjava sve opcije i vodi vas kroz cijeli proces – od konzultacija do isplate kredita, kako biste donijeli informiranu financijsku odluku i uštedjeli vrijeme.

Lokacija

close
Napomena: prikazana je točna lokacija
Oglas objavljen 14.04.2026. 00:47
Do isteka još 2 godine i 8 mjeseci
Pregleda 77

Slični oglasi Pogledaj sve oglase

Navedite razlog prijave oglasa

Podijeli oglas

Gospočak, Remete, 1.200,00 m2, 350.000,00 EUR

Gospočak, Remete, 1.200,00 m2, 350.000,00 EUR

ID oglasa: 119257

Cijena: 350.000,00 €

U usporedbi može biti maksimalno 4 oglasa. Uklonite 1 oglas kako bi dodali novi oglas u usporedbe

PROVJERI OGLASE