Gramača, Zemljište, 415.000,00 EUR

Cijena: 415.000,00 €
ID oglasa: 106158

Osnovni podaci

Lokacija Zagreb, Podsljeme, Šestine
Tip zemljišta Građevinsko
Namjena stambeno
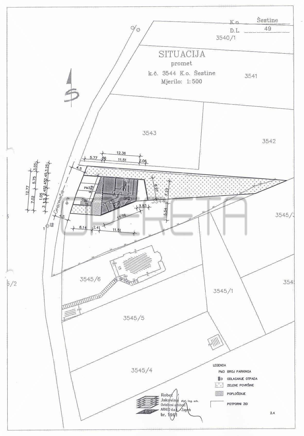
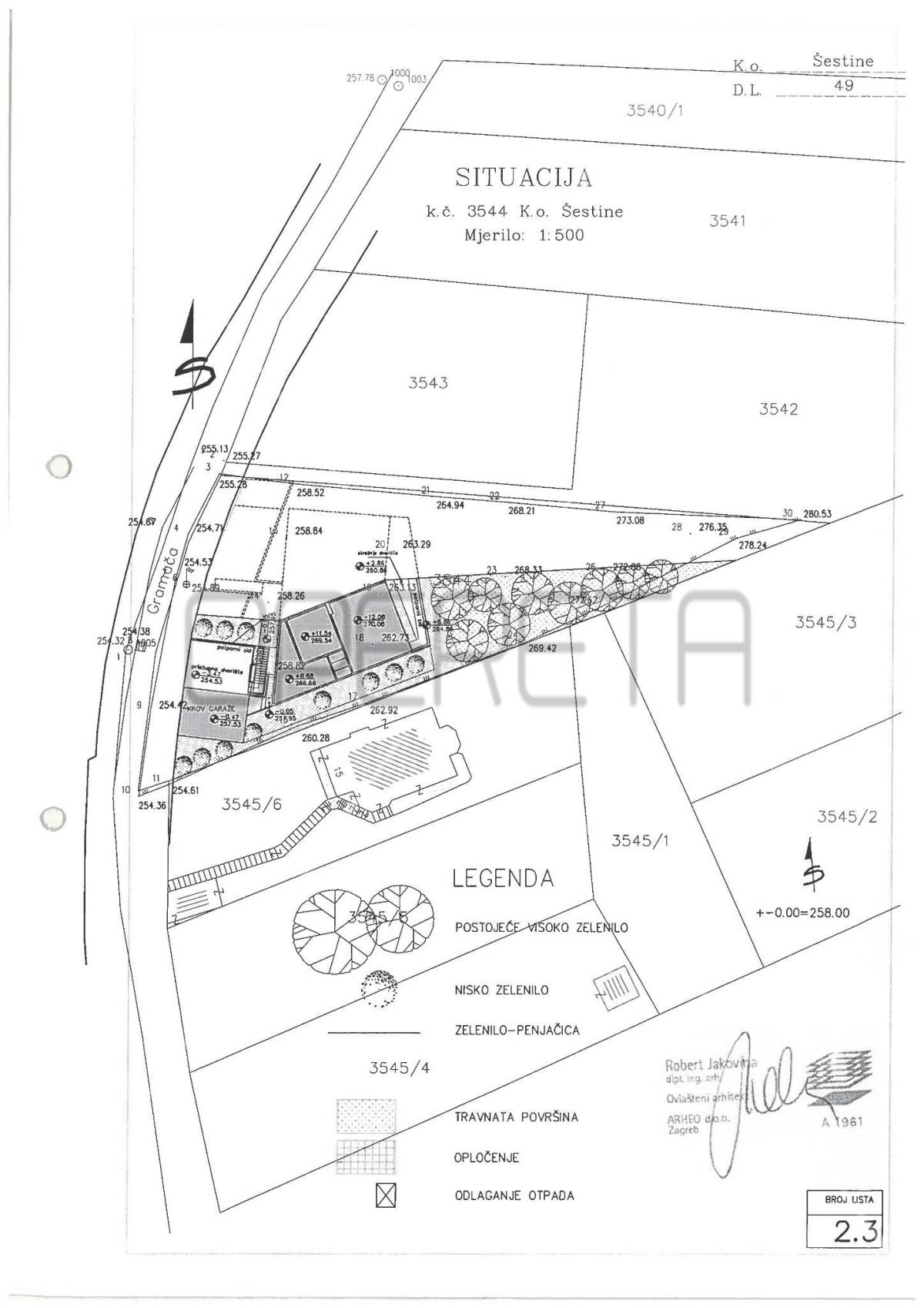
Površina 1.313 m²

Opis

Gramača, Zemljište, 415.000,00 EUR
PRODAJA, GRAĐEVINSKO ZEMLJIŠTE 1.313m2 SA GRAĐEVINSKOM DOZVOLOM ZA 2X450m2, GRAMAČA, ZAGREB
Građevinska parcela površine 1.313 m2 s građevinskom dozvolom za više stambeni objekt 2x450 m2 BRP uz podmiren komunalni doprinos. Parcela se sastoji od dvije katastarske čestice.
Zemljište se nalazi na zapadnoj sunčanoj padini Šestinskog Vrha u blizini zelene zone s pogledom na centralni i zapadni predio Zagreba.
Atraktivna lokacija koja pruža mir i osjećaj diskrecije u okolici obiteljskih kuća, vila te veleposlanstava. Okoliš bogat zelenilom i šumom.
U blizini sjecišta pod sljemenskih cestovnih pravaca (Mikulići, Sveti Duh, Šestinski dol, Vrhovec, Pantovčak, Gornje Prekrižje, Tuškanac, Mlinovi). U samoj blizini je nekoliko dječjih vrtića, osnovnih i srednjih škola. Projekt predviđa 6 stanova (kvadrature od 95 do 145 m2) u dvije polu ugrađene kuće (sjeverna i južna).
Moguće su promjene unutar zadanih okvira, također okrupnjavanja više stanova u jedan veći.
Izvrsno je orijentacijski pozicioniran (jug i zapad) čime pruža obilje dnevne svjetlosti tijekom cijelog dana.
Građevinsko zemljište ima sve komunalne priključke uz pristup na ulicu Gramača, a gradnja je planirana samo sa sjevero-istočne strane ulice (s druge strane ulice je zelena zona).

Komunalije, osigurana dostupnost:
- gradski plin, struja, voda, kanalizacija
- telekom. instalacije
- prometnica

Stanje:
- uredan vlasnički list (bez tereta, pogodan za kredit)
- pravomoćna građevinska dozvola na temelju opisanoga, uz podmiren komunalni doprinos - projekt je spreman za realizaciju.

USLUGA KREDITNOG POSREDOVANJA: Opereta ekspert pruža besplatnu uslugu kreditnog posredovanja, uspoređujući ponude više banaka na jednom mjestu. Naš tim objašnjava sve opcije i vodi vas kroz cijeli proces – od konzultacija do isplate kredita, kako biste donijeli informiranu financijsku odluku i uštedjeli vrijeme.

Lokacija

close
Napomena: prikazana je točna lokacija
Oglas objavljen 04.02.2026. 01:31
Do isteka još 2 godine i 8 mjeseci
Pregleda 111

Slični oglasi Pogledaj sve oglase

Navedite razlog prijave oglasa

Podijeli oglas

Gramača, Zemljište, 415.000,00 EUR

Gramača, Zemljište, 415.000,00 EUR

ID oglasa: 106158

Cijena: 415.000,00 €

U usporedbi može biti maksimalno 4 oglasa. Uklonite 1 oglas kako bi dodali novi oglas u usporedbe

PROVJERI OGLASE